Proti zduření krku jdi mlčky do mlýna,
ukradni tam špagát z pytle
a uvaž si ho kolem zduřelého krku.
(německá pověra)

Brtný mlýn; Zeidelmühl

Brtný mlýn; Zeidelmühl
89
Hošťka - Pořejov
34806
Tachov
Pořejov
49° 44' 22.3'', 12° 36' 47.9''
Mlýniště bez mlýna
Budova mlýna byla zrušena v průběhu 2. poloviny 20. století. V roce 1946 mlýn a hospodářské budovy ještě stály, což je zřejmé z leteckého snímkování.
Samota
bezejmenný vodní tok
volně přístupný

Obecná historie:

Mlýn nestával bezprostředně pod hrází rybníka, ale o 150 m níže při silnici do Dlouhého Újezdu. Zanikl po 2. světové válce. Dobře zachován náhon, zejména část bezprostředně pod východním koncem hráze rybníka, vytesaná do skalního bloku.


Historie mlýna obsahuje událost z období:

patrně již středověkého původu (ves Pořejov doložena 1352)

Události
  • Vznik mlynářské živnosti
Hospodářský typ mlýna
  • Poddanský

1657-1688 nájemce Michl Frank

1692 nájemce Ulrich Sturm

1692 hrabě Johann Zikmund Götz mlýn emfyteuticky odprodal za 100 zl. Hansi Georgu Hofmeistrovi (*1664),1. oo 1689 Eva Deglmannová, 2. oo 1719 Anna Marie Röschenthalerová, vdova po mlynáři Johannu Georgu Röschenthalerovi z Nového mlýna

Ze mlýna odvádí dle pozemkové knihy z roku 1634  každoročně na sv. Havla 4 zl. 40 kr. jako náhradu za vykrmené prase, pro vrchnost povinen zdarma semlít 44 dolnorakouských měřic obilí a pořezat 30 kmenů z panského lesa, za řezání prken navíc si účtuje 1 krejcar za kus. Vodu z rybníka musí užívat tak, aby neklesla hladina a nebyla ohrožena násada.

za 100 zl. nejml. syn Martin Hofmeister (*1710), 1749 oo Anna, dc. mlynáře Michaela Müllera z Maschamühle

1772 za 200 zl. převzala dcera Anna Marie (1750-1830), 1772 oo za Johanna Georga Müllera (*1751), syna Josefa Müllera z Maschamühle, 1787 převzali i Maschamühle

1806 za 500 zl. převzal syn Johann Georg Müller (1780-1843), 1. oo Anna Margaretha Hartmannová (1778-1827), dc. hajného ze Zlatého Potoka, 2. oo 1837 Marie Schmutzerová, vdova po Johannu Schmutzerovi, mlýn měl 1 složení a pilu

1837 za 300 zl. převzal syn z I. manž. Franz Josef Müller (1810-1899), oo Marie Anna Schmutzerová (1816-1876), dědička usedlosti čp. 49 v Pořejově

Události
  • První písemná zmínka o existenci vodního díla
  • Vznik mlynářské živnosti

1863 za 2.000 zl. převzal syn Sebastian Müller (1840-1900), 1863 oo Margretha Kaesová (1845-1918), s ní vyženil čp. 12 v Pořejově

zároveň vlastnil i Vogelmühle čp. 80 u Žebráků, 1880 postavil v Pořejově hospodu čp. 120/108

1880 ve mlýně 2 čeledíni, chovají 2 koně, 12 ks hov., 2 voly a 4 prasata

1890 nejml. syn Franz Josef Müller (1865-1920), oo Barbara Güntnerová (*1868 v Žebrácích), ve mlýně 3 čeledíni a děvečka, chovají 3 krávy, 8 volů a 6 prasat

1890 mlýn vyhořel, obnoven, zřízena pila

Události
  • Zaznamenání katastrofy (požár, povodeň, zranění, úmrtí, aj.)
Hospodářský typ mlýna
Námezdní

1930 Barbora Müllerová

1936 syn Josef Müller (*1900), oo Julie Friedlová z Pořejova čp. 51, instaloval turbínu

jako jediný v okolí zůstal v provozu až do roku 1945

1945 Müllerovi odsunuti

1947 mlýn ještě stál

Události
  • Zánik mlynářské živnosti

1950 mlýn zbořen

Události
  • Zánik budovy mlýna

Příjmení mlynářů působících na mlýně:

  • Müller
  • Frank
  • Sturm
  • Hofmeister

Historie mlýna také obsahuje:

nájemci:

1657-1688  Michl Frank

-1692 Ulrich Sturm

emfyteutičtí majitelé:

1692-1749 Hans Georg Hofmeister

1749-1772 Martin Hofmeister

1772-1772 Johann Georg Müller

1806-1837 Johann Georg Müller ml.

1837-1863 Franz Josef Müller

1863-1890 Sebastian Müller

1890 Franz Josef Müller

1930 Barbora Müllerová

1936-1945 Josef Müller

 

Mlýn je vyobrazen na:

Předměty spojené s osobou mlynáře a provozu:

    neexistuje
    02 2019
      venkovský
      mlýn na nestálé vodě (10 - 50 l/s)
        1890 po požáru patrová budova
            • zcela bez technologie aj.
            Žádná položka není vyplněna
            1692, 1806: 1 složení
            1937: válcová stolice, šrotovník, loupačka
            Dochovaný
            • pila
            1692, 1806 pila
            1890 po požáru postavena nová pila, poháněná 2. kolem, dřevěná konstrukce na kamenné podezdívce
            • náhon
            • rybník
            1873 zasazen cejch
            k turbíně přiváděna voda potrubím o prům 0,82 m a délce 31 m
            Typvodní kolo na vrchní vodu
            StavZaniklý
            Výrobce
            Popis1692, 1806: 1 kolo
            1890 instalováno 2. kolo pro pohon pily
            1930: 2 kola na svrchní vodu
            1) hltnost 0,07 m3/s, spád 8 m, výkon 4,8 HP, prům. 8,2 m, šířka 64 cm
            2) hltnost 0,1 m3/s, spád 3,4 m, výkon 3 HP
            Typvodní kolo na vrchní vodu
            StavZaniklý
            Výrobce
            Popis1692, 1806: 1 kolo
            1890 instalováno 2. kolo pro pohon pily
            1930: 2 kola na svrchní vodu
            1) hltnost 0,07 m3/s, spád 8 m, výkon 4,8 HP, prům. 8,2 m, šířka 64 cm
            2) hltnost 0,1 m3/s, spád 3,4 m, výkon 3 HP
            Typturbína Francisova
            StavZaniklý
            VýrobceJosefa Prokopa synové Pardubice
            Popisobjednána 1936, nainstalována 1937
            výkon 9,8 HP
            Typnaftový motor
            StavZaniklý
            Popisinstalován 1936, výkon 8-10 HP
            Typnaftový motor
            StavZaniklý
            Popisinstalován 1936, výkon 8-10 HP
            Typdynamo
            StavZaniklý
            Popisinstalováno 1937, pro vlastní osvětlení
            Historické technologické prvky
            AutorMinisterstvo financí
            NázevSeznam a mapa vodních děl RČS
            Rok vydání1932
            Místo vydáníPraha
            Další upřesněnísešit 05 (Cheb), s. 38
            AutorMinisterstvo financí
            NázevSeznam a mapa vodních děl RČS
            Rok vydání1932
            Místo vydáníPraha
            Další upřesněnísešit 05 (Cheb), s. 38
            AutorZdeněk Procházka, Miroslav Vetrák
            NázevCestami krajánků aneb putování po mlýnech a vodních provozech na Tachovsku a Stříbrsku
            Rok vydání2019
            Místo vydáníDomažlice
            Další upřesněnís. 89-93

            Žádná položka není vyplněna

            Základní obrázky

            Historické mapy

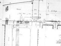
            Plány - stavební a konstrukční

            Historické fotografie a pohlednice

            Současné fotografie - exteriér

            Současné fotografie - vodní dílo

            Vytvořeno

            28.2.2019 13:58 uživatelem jirka.vacek87

            Majitel nemovitosti

            Není vyplněn

            Spoluautoři

            Uživatel Poslední změna
            Rudolf (Rudolf Šimek) 3.3.2019 20:54
            doxa (Jan Škoda) 1.8.2023 11:32