Každý mlýn má své zrno k mletí.
(německé přísloví)

Čertův mlýn; Grabmühle, Grobmühle, Walchmühle

Čertův mlýn; Grabmühle, Grobmühle, Walchmühle
13
Albrechtovice
38301
Prachatice
Albrechtovice
48° 58' 35.1'', 13° 58' 10.4''
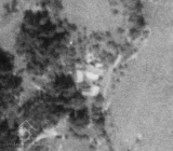
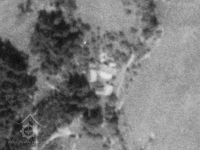
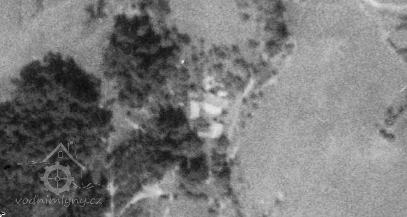
Mlýniště bez mlýna
Mlýn o němž se dochovala první zmínka k roku 1456, později fungoval jako valcha, zanikl ve 2. pol. 20. stol. v důsledku odsunu původních majitelů. Dnes jsou z mlýna dochovány nevýrazné zříceniny.
SSV od Albrechtovic v údolí Farského potoka
Farský potok
volně přístupný

Historie mlýna obsahuje událost z období:

První zmínka o mlýně pochází z roku 1456, kdy jsou uváděny Albrechtovice a mlýn pod nimi.

1830 Jan Kieweg

V roce 1930 byl majitelem Jan Kieweg, objekt sloužil jako valcha.

mlýn zanikl po roce 1945, dle vzpomínek pamětníka posledním majitelem mlýna byl starší manželský pár, jediný syn padl na východní frontě neznámo kde, odsunuti.

Příjmení mlynářů působících na mlýně:

Kieweg

Historie mlýna také obsahuje:

1830 Jan Kieweg

1866-1896:Johann a Maria Kieweg

1896-1932:Johann a Katharina Kieweg

1932-1945:Adolf a Theresia Kieweg.

Samota v katastrálním území Albrechtovice u Prachatic.Je zobrazena na mapě Stabilního katastru :Čechy-5694-1-k.ú.Perlovice,mapový list č.005.Jednalo se o následující stavby:
-dům čp.13/st.p.14-mlýn a obytné a hospodářské stavení,
-dům čp.14/st.p.15-obytné stavení,-jižně od mlýna-
-pazderna/st.p.16.
Mlýn i ostatní stavby byl v majetku rodiny Kieweg/dříve psáno Küeweg/již v 19.století/v době vzniku mapy Stabilního katastru/až do r.1945.
Stručně k vlastnictví:1866-1896:Johann a Maria Kieweg, 1896-1932:Johann a Katharina Kieweg, 1932-1945:Adolf a Theresia Kieweg.

Mlýn je vyobrazen na:

Předměty spojené s osobou mlynáře a provozu:

    zřícenina
    05 2012
      venkovský
      mlýn na potoku (50 - 1000 l/s)
        zděná
        • prostup pro hřídel vodního kola
          • zcela bez technologie aj.
          Žádná položka není vyplněna
          • náhon
          • odtokový kanál
          • lednice
          Typvodní kolo na vrchní vodu
          StavZaniklý
          Výrobce
          PopisV roce 1930 valchu pohánělo jedno kolo na svrchní vodu, průtok 0.065 m3/s, spád 4 m, výkon 2.5 HP
          Typvodní kolo na vrchní vodu
          StavZaniklý
          Výrobce
          PopisV roce 1930 valchu pohánělo jedno kolo na svrchní vodu, průtok 0.065 m3/s, spád 4 m, výkon 2.5 HP
          Žádná položka není vyplněna
          Historické technologické prvky
          AutorMinisterstvo financí
          NázevSeznam a mapa vodních děl Republiky Československé
          Rok vydání1932
          Místo vydáníPraha
          Další upřesněnísešit 2, str. 31
          Odkaz
          Datum citace internetového zdroje
          AutorMinisterstvo financí
          NázevSeznam a mapa vodních děl Republiky Československé
          Rok vydání1932
          Místo vydáníPraha
          Další upřesněnísešit 2, str. 31
          Odkaz
          Datum citace internetového zdroje
          AutorBohumil Toms
          NázevČertův mlýn (Zaniklé obce a objekty)
          Rok vydání2007
          Odkazhttp://www.zanikleobce.cz/index.php?obec=5299
          Datum citace internetového zdroje09 2020

          Žádná položka není vyplněna

          Základní obrázky

          Historické mapy

          Historické fotografie a pohlednice

          Současné fotografie - exteriér

          Současné fotografie - exteriér - detaily stavebních prvků

          Současné fotografie - vodní dílo

          Vytvořeno

          28.11.2014 18:59 uživatelem Franklyn (Lukáš Racocha)

          Majitel nemovitosti

          Není vyplněn

          Spoluautoři

          Uživatel Poslední změna
          Rudolf (Rudolf Šimek) 5.2.2019 08:03
          doxa (Jan Škoda) 15.9.2020 23:42