Rozumná láska je mlýn bez pohonu.
(německé přísloví)

Baierlův mlýn

Baierlův mlýn
31
Zhůří
341 93
Klatovy
Zhůří u Rejštejna
49° 10' 30.3'', 13° 20' 4.8''
Mlýniště bez mlýna
Mlýn zbořený, stejně jako celá obec, poté co území po odsunutých obyvatelích v roce 1945 zabrala v roce 1952 armáda.
Křemelná
volně přístupný

Historie mlýna obsahuje událost z období:

1837 Johann Georg Bayerl

V roce 1930 mlýn vlastní Jan Baierl.

V letech 1945 - 1947 bylo z obce odsunuto veškeré obyvatelstvo.

Události
  • Zánik mlynářské živnosti

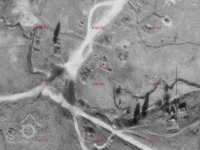
V roce 1952 vesnici zabrala armáda a postupně zdemolovala všechny budovy. V roce 1959 je již celá vesnice v troskách, které jsou dobře patrné na leteckých snímcích ještě v roce 1969.

Události
  • Zánik budovy mlýna

Příjmení mlynářů působících na mlýně:

  • Baierl
  • Bayerl

Historie mlýna také obsahuje:

1837 Johann Georg Bayerl

1930 Jan Baierl

Mlýn je vyobrazen na:

Předměty spojené s osobou mlynáře a provozu:

    neexistuje
    07 2022
      venkovský
      mlýn na potoku (50 - 1000 l/s)
      mlýnice a dům pod jednou střechou, avšak dispozičně oddělené
        zděná
        přízemní
            • zcela bez technologie aj.
            Žádná položka není vyplněna
            Zaniklý
            • pila
            V roce 1930 se vodní síla používá též pro pohon cirkulárky.
              Typvodní kolo na vrchní vodu
              StavZaniklý
              PopisV roce 1930 mlýn pohání kolo na svrchní vodu s průtokem 0.102 m3/s, spádem 2.58 m o výkonu 2.2 HP.
              Typvodní kolo na vrchní vodu
              StavZaniklý
              PopisV roce 1930 mlýn pohání kolo na svrchní vodu s průtokem 0.102 m3/s, spádem 2.58 m o výkonu 2.2 HP.
              Žádná položka není vyplněna
              Historické technologické prvky
              Autorviz ŠumavaNet.cz
              NázevZhůří
              Rok vydání2023
              Místo vydáníinternet
              Odkazhttps://www.sumavanet.cz/zhuri-kepelske-zhuri-haidl-am-ahornberg.s-14090-MEM2
              Datum citace internetového zdroje11.8. 2023
              Autorviz ŠumavaNet.cz
              NázevZhůří
              Rok vydání2023
              Místo vydáníinternet
              Odkazhttps://www.sumavanet.cz/zhuri-kepelske-zhuri-haidl-am-ahornberg.s-14090-MEM2
              Datum citace internetového zdroje11.8. 2023
              AutorMinisterstvo financí
              NázevSeznam a mapa vodních děl Republiky československé
              Rok vydání1932
              Další upřesněnísešit 02, České Budějovice, str. 16

              Žádná položka není vyplněna

              Historické mapy

              Historické fotografie a pohlednice

              Vytvořeno

              12.8.2023 03:52 uživatelem REAPERXCX

              Majitel nemovitosti

              Není vyplněn

              Spoluautoři

              Uživatel Poslední změna
              Rudolf (Rudolf Šimek) 15.8.2023 19:14
              doxa (Jan Škoda) 18.11.2023 23:47